Cristian N Antonescu
pe site din 24 Iun
activ: 10 Feb 2026 21:14



2.268.000 eur
Companie
Descriere anunt
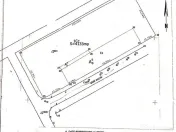
Un teren destul de rar de intalnit, ca si suprafata. Cu ceva eforturi – asociere/achizitie cu/a vecinilor se poate ajunge la o suprafata de 12.000 mp.
Caracteristici Teren
- zona Ferentari,
- suprafata 5.670 mp
- Deschideri la trei strazi: 55 m la cea mai circulata, 21 m si 33 m
- In PUG Bucuresti, figureaza in zona L3a
- In PUZ-ul sector 5 anulat de catre Nicusor, figura in zona M2 la strada principala (aproximativ o treime din teren), si zona L3a restul
- Toate utilitatile
Specificații
Extravilan / IntravilanIntravilan
Front stradal (metri)55
UtilitățiNu
ID: 16629635
Contactează vânzătorul
Companie
Cristian N Antonescu
pe site din 24 Junactiv:
Nu există recenzii
Mai multe anunțuri ale utilizatorului
Bucuresti, Bucuresti-Ilfov
Despre companie
Loading ad...
Contactează vânzătorul
Companie
Cristian N Antonescu
pe site din 24 Junactiv:
Nu există recenzii
Loading ad...
Vezi mai multe anunturi ale acestui vânzator
Toate anunturileAnunturi similare















































































































