BLITZ Romania
pe site din 4 Sep
activ: 10 Feb 2026 21:14




550 eur
Companie
Descriere anunt
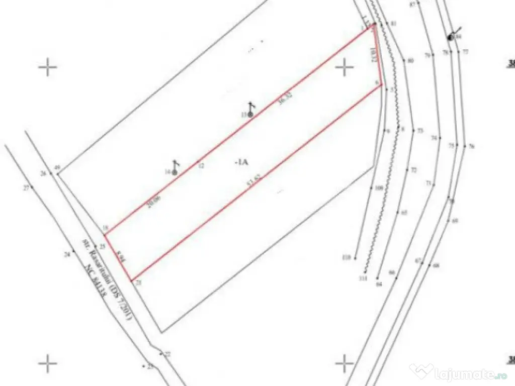
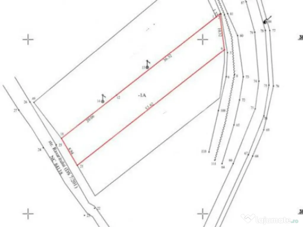
Blitz va ofera oportunitatea de a inchiria pe termen mediu/lung un teren intravilan in proximitatea Complexului Turistic de Natatie Targoviste.
Terenul, intravilan, are forma dreptunghiulara avand fronturi de 11.64 m si 8.94 m cu iesire la drum si lungimea de aproximativ 54 m.
Acces pe doua laturi la drum, zona cu iluminat public, acest teren poate avea destinatii multiple privind dezvoltarea unei afacerii: spalatorie auto, vulcanizare, parcare privata, depozit, etc.
Terenul este racordat la apa si canalizare, reteaua electrica fiind la limita proprietatii.
Pentru relatii suplimentare va stam la dispozitie.
Cod ofertă / ID BLITZ: P127991
Id intern: P127991
Specificații
Extravilan / IntravilanIntravilan
Front stradal (metri)11
UtilitățiDa
ID: 15822151
Contactează vânzătorul
Companie
BLITZ Romania
pe site din 4 Sepactiv:
Nu există recenzii
Mai multe anunțuri ale utilizatorului
Targoviste, Dambovita
Despre companie
Loading ad...
Contactează vânzătorul
Companie
BLITZ Romania
pe site din 4 Sepactiv:
Nu există recenzii
Loading ad...
Vezi mai multe anunturi ale acestui vânzator
Toate anunturileAnunturi similare
















































































































































































































































