Cătălin Slave
Bucuresti, Bucuresti-Ilfov
pe site din 11 Aug
activ: 10 Feb 2026 21:14







188.000 eur
Companie
Descriere anunt
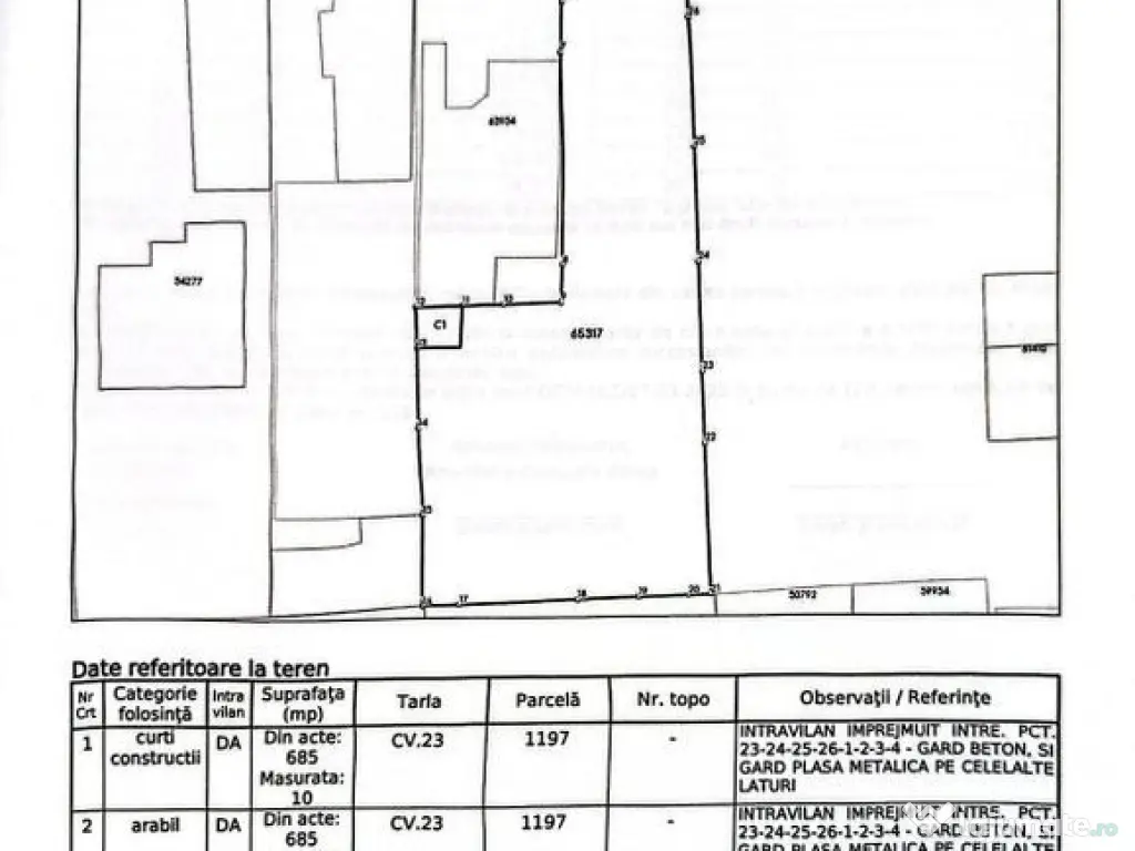
~ Va propunem spre vanzare teren 685 mp, deschidere 15 m, in zona Dobroiesti, Str. 22 Decembrie, nr. 12, într-o zonă liniștită, ferită de agitația bulevardelor mari, dar aproape de toate facilitățile.
~ La numai 10 de minute (800 ml) de mers pe jos de mijloacele de transport in comun, terenul oferă acces rapid către centrul orașului și principalele puncte de interes.
Suprafața generoasa de 685 mp permit configurarea ideală a spațiului: fie o locuință modernă cu grădină și locuri de parcare în incintă, fie un mic proiect imobiliar cu potențial de valoare pe termen lung.
~ Pe teren se află o constructie demolabila, magazie si pomi fructiferi
Parametri urbanistici:
• Zonă L – locuințe individuale și colective mici
• POT max.: 35%
• CUT max.: 1,4
• Regim de înălțime: P+2+Pod
Pentru informații suplimentare și programarea unei vizionări, vă stau la dispoziție.
Specificații
Extravilan / IntravilanIntravilan
Front stradal (metri)12
UtilitățiDa
Construcție pe terenNu
ID: 16732403
Contactează vânzătorul
Companie
Cătălin Slave
pe site din 11 Augactiv:
Nu există recenzii
Mai multe anunțuri ale utilizatorului
Dobroesti, Bucuresti-Ilfov
Despre companie
Loading ad...
Contactează vânzătorul
Companie
Cătălin Slave
pe site din 11 Augactiv:
Nu există recenzii
Loading ad...
Vezi mai multe anunturi ale acestui vânzator
Toate anunturileAnunturi similare





































































































































































































