SIMONA MARIA
pe site din 10 Nov
activ: 10 Feb 2026 21:14






110.000 eur
Companie
Descriere anunt
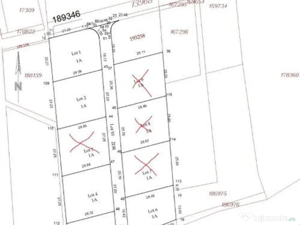
Agentia imobiliara Karimob , are placerea de a va prezenta 2 terenuri ,in zona spitalului judetean, cu un comision 0% pentru cumparator.
Terenurile se afla in spatele spitalului judetean ,cu deschidere in strada Rimley Karoly si au suprafetele dupa cum urmeaza:
726 mp cu un front de 25,8
773 cu un front de 27 m
Accesul la terenuri se face pe un drum privat cu o latime de 7 m, cu deschidere la strada Rimley Karoly.
Clasificarea terenurlor este intravilan , au fost cedate suprafetele pentru drumul public si conform studiului de risc elaborat, terenul se incadreaza in zona cu potential redus de risc si alunecare
Terenurile sunt compacte , iar pretul este de 100 eur/mp , negociabil.
terenurile dispun de CF , PUZ, iar ca utilitati , dispune de canaliizare, apa , curent
Pentru orice informatii sau vizionare , va rugam sa ne contactati la nr de telefon 0749269451 sau la sediul agentiei de pe Aleea Salca 22
Specificații
Extravilan / IntravilanIntravilan
Front stradal (metri)27
UtilitățiNu
ID: 14148037
Contactează vânzătorul
Companie
SIMONA MARIA
pe site din 10 Novactiv:
Nu există recenzii
Mai multe anunțuri ale utilizatorului
Oradea, Bihor
Despre companie
Loading ad...
Contactează vânzătorul
Companie
SIMONA MARIA
pe site din 10 Novactiv:
Nu există recenzii
Loading ad...
Vezi mai multe anunturi ale acestui vânzator
Toate anunturileAnunturi similare





























































































































































































































































































