Office
Constanta, Constanta
pe site din 27 Nov
activ: 16 Apr 2026 11:26










850.000 eur
Companie
Descriere anunt
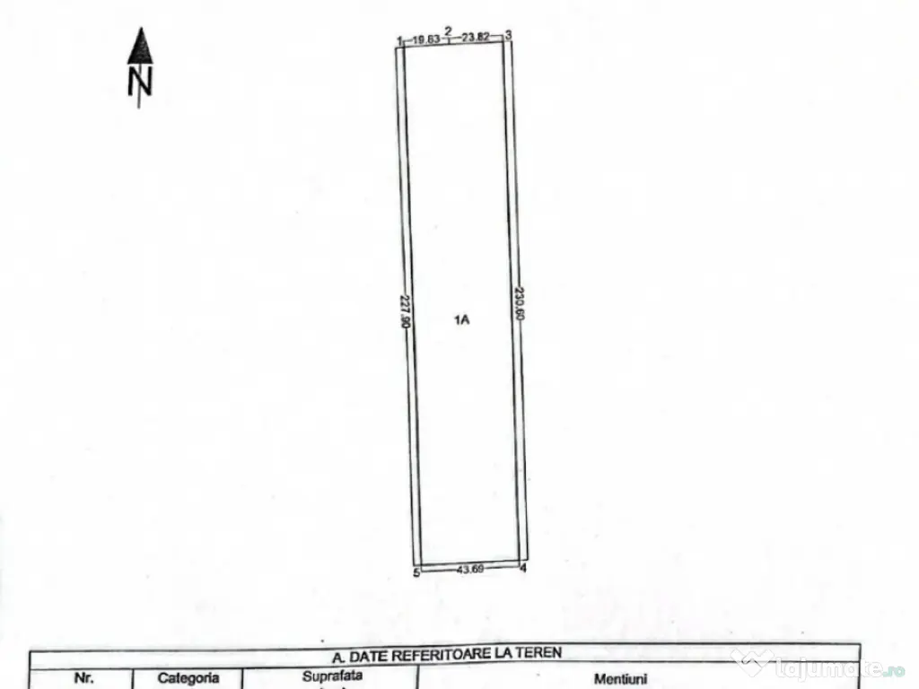
Agenția Experți Imobiliari vă propune spre achiziție un teren situat în Constanța, cu o suprafață de 10.000 mp, ideal pentru dezvoltări industriale sau logistice.
Proprietatea beneficiază de două deschideri generoase, de 44 ml și 43 ml, oferind acces facil și multiple posibilități de organizare a viitoarelor construcții.
Terenul vine cu un avantaj important: proiect existent pentru realizarea a două hale, fiecare cu suprafața de 800 mp, precum și o clădire de birouri cu amprentă de 200 mp. Acest aspect reduce semnificativ timpul necesar demarării investiției și oferă o direcție clară de dezvoltare.
Utilitățile sunt disponibile, ceea ce facilitează implementarea rapidă a proiectului. În plus, proprietatea dispune de cadastru și intabulare, fiind pregătită pentru vânzare imediată.
Datorită amplasării în Constanța și a caracteristicilor sale, terenul reprezintă o oportunitate excelentă pentru investiții în domeniul industrial sau comercial.
Pentru mai multe informații despre acest anunț imobiliar sau pentru a programa o vizionare, nu ezitați să ne contactați. Suntem aici pentru a vă ajuta să găsiți locuința perfectă pentru stilul dumneavoastră de viață!
E.3(P33261)
Id intern: P33261
Specificații
Extravilan / IntravilanIntravilan
UtilitățiNu
ID: 16776337
Contactează vânzătorul
Companie
Office
pe site din 27 Novactiv:
Nu există recenzii
Mai multe anunțuri ale utilizatorului
Valu Lui Traian, Constanta
Despre companie
Loading ad...
Contactează vânzătorul
Companie
Office
pe site din 27 Novactiv:
Nu există recenzii
Loading ad...
Vezi mai multe anunturi ale acestui vânzator
Toate anunturileAnunturi similare

















































































































































































































































































































