BLITZ Romania
,
pe site din 4 Sep
activ: 10 Feb 2026 21:14





Teren extravilan pentru constructii casa, 16 arii ,Jelna
41.400 eur
Companie
Jelna, BN
13.02.2026
Număr de telefon validat
Descriere anunt
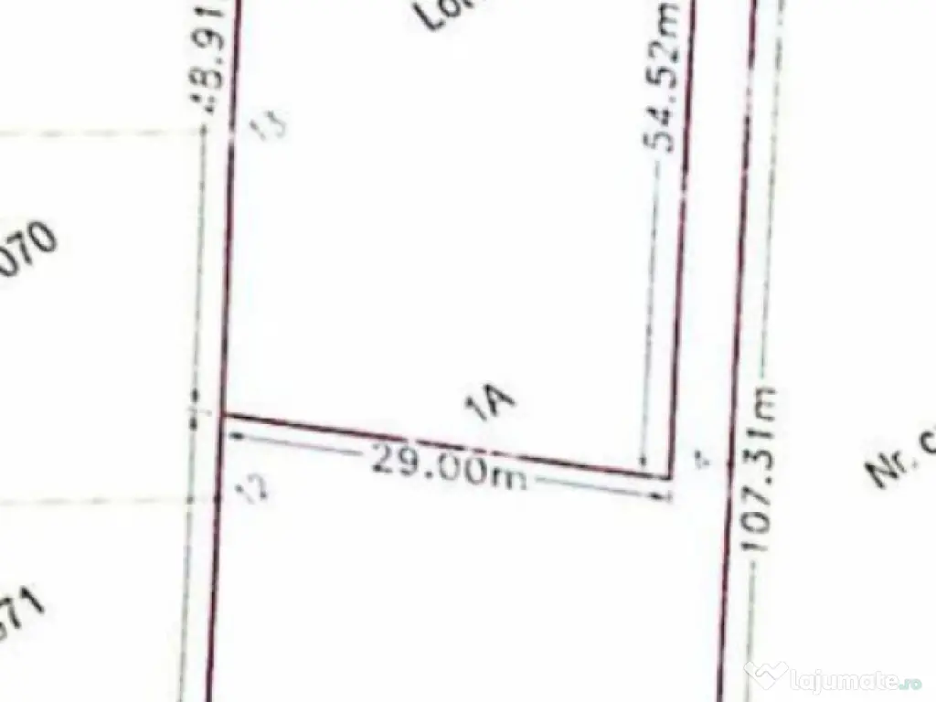
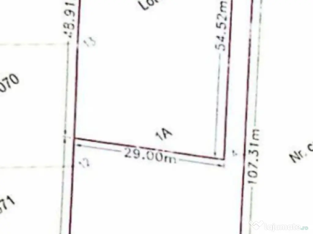
Blitz ofera spre vânzare teren extravilan în suprafață de 16 ari, situat în localitatea Jelna, într-o zonă cu acces foarte bun. Terenul beneficiază de deschidere directă la șosea, precum și de drum de acces pe laterala terenului, ceea ce oferă multiple posibilități de utilizare.
Parcela este bine poziționată, cu acces facil în orice anotimp, fiind potrivită atât pentru investiție, cât si pentru a construi. Zona este liniștită, dar totodată ușor accesibilă, cu legătură rapidă către localitățile din apropiere.
Terenul are formă practică și vizibilitate bună datorită amplasării la drum principal.
???? Localizare: Jelna
???? Suprafață: 16 ari
???? Acces: la șosea + drum lateral
???? Statut: extravilan
Cod ofertă / ID BLITZ: P161539
Id intern: P161539
Specificații
Extravilan / Intravilan2
Front stradal (metri)29
UtilitățiDa
ID: 16718528
Contactează vânzătorul
Companie
BLITZ Romania
pe site din 4 Sepactiv:
Nu există recenzii
Mai multe anunțuri ale utilizatorului
Jelna, Bistrita-Nasaud
Despre companie
Loading ad...
Contactează vânzătorul
Companie
BLITZ Romania
pe site din 4 Sepactiv:
Nu există recenzii
Loading ad...
Vezi mai multe anunturi ale acestui vânzator
Toate anunturileAnunturi similare





















































































































































































































