Alexandru Vladarau
Bucuresti, Bucuresti-Ilfov
pe site din 29 Ian
activ: 9 Mai 2026 18:22







419.540 eur
Companie
Descriere anunt
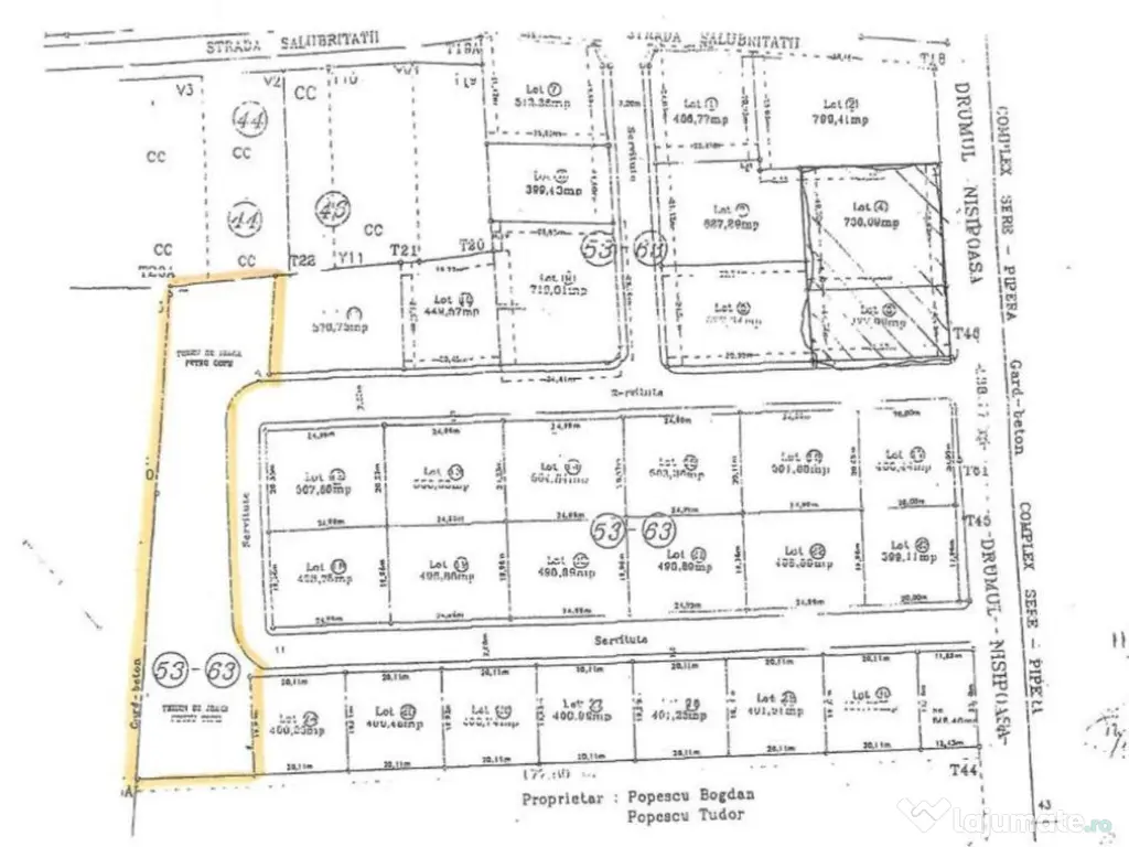
Va propunem spre achizitie un teren intravilan cu suprafata de 1907 metri patrati, aflat intre strazile Salubritatii si Drumul Nisipoasa.
Terenul are un CUT de 2.2 si un POT de 60% si inaltimea maxima de 21 metri si se pot construi doua blocuri P+4, cu locuri de parcare intre cele 2 blocuri. Langa teren exista un bloc construit, astfel incat utilitatile sunt in imediata apropiere.
Specificații
Extravilan / IntravilanIntravilan
UtilitățiDa
ID: 15063564
Contactează vânzătorul
Companie
Alexandru Vladarau
pe site din 29 Janactiv:
Nu există recenzii
Mai multe anunțuri ale utilizatorului
Bucuresti, Bucuresti-Ilfov
Despre companie
Nume Firma: SMASH FREE S.R.L.
Cui: 41651413
Telefon: 0766077555
Email: [email protected]
Adresa: Şos. Ştefan cel Mare, nr. 46, loc. Sector 2 Mun. Bucureşti, jude
Loading ad...
Contactează vânzătorul
Companie
Alexandru Vladarau
pe site din 29 Janactiv:
Nu există recenzii
Loading ad...
Vezi mai multe anunturi ale acestui vânzator
Toate anunturileAnunturi similare

































































































































































































































































































































































