Alexandru Vladarau
Bucuresti, Bucuresti-Ilfov
pe site din 29 Ian
activ: 9 Mai 2026 18:22










2.112.990 eur
Companie
Descriere anunt
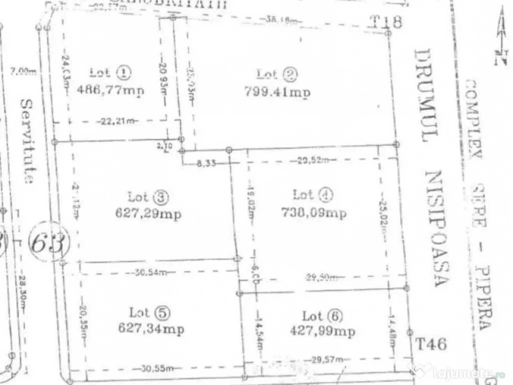
Va propunem spre achizitie un teren intravilan cu destinatia curti-constructii cu suprafata de 3707 metri patrati, aflat la intersectia strazilor Salubritatii cu Drumul Nisipoasa, terenul este aproximativ patrat si are latura dinspre str. Salubritatii de 60,55 metri si latura dinspre str. Drumul Nisipoasa de 64,70 metri.
Terenul este format din 6 loturi alipite fiecare cadastrat individual.
Terenul are un CUT de 2.2 si un POT de 60% si inaltimea maxima de 21 metri si se poate construi blocuri cu regim de inaltime P+4.
Terenul dispune de toate utilitatile: electricitate, gaze, apa, canalizare, iar in prezent gazduieste terenuri de tenis de camp.
Specificații
Extravilan / IntravilanIntravilan
Front stradal (metri)65
UtilitățiDa
ID: 15063601
Contactează vânzătorul
Companie
Alexandru Vladarau
pe site din 29 Janactiv:
Nu există recenzii
Mai multe anunțuri ale utilizatorului
Bucuresti, Bucuresti-Ilfov
Despre companie
Nume Firma: SMASH FREE S.R.L.
Cui: 41651413
Telefon: 0766077555
Email: [email protected]
Adresa: Şos. Ştefan cel Mare, nr. 46, loc. Sector 2 Mun. Bucureşti, jude
Loading ad...
Contactează vânzătorul
Companie
Alexandru Vladarau
pe site din 29 Janactiv:
Nu există recenzii
Loading ad...
Vezi mai multe anunturi ale acestui vânzator
Toate anunturileAnunturi similare




































































































































































































































































































































































