Ovidiu Pop
Beclean, Bistrita-Nasaud
pe site din 10 Aug
activ: 10 Feb 2026 21:14














2.500 eur
Companie
Descriere anunt
Ai vrea să construiești casa la care visezi sau să faci o investiție inteligentă? Acest teren intravilan situat excelent, chiar la intrarea în Bistrița, îți oferă șansa perfectă!
Detalii Esențiale ale Terenului
Localizare de Top: La intrarea în Bistrița, în comuna/orașul/municipiul Șieu-Măgheruș (conform documentației), într-o zonă liniștită, dar cu acces rapid la oraș și la drumul principal.
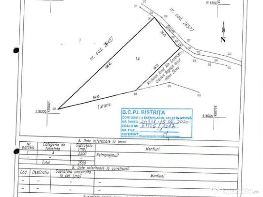
Suprafață Generoasă: Proprietatea (identificată cu Nr. Cadastral 28410) se întinde pe o suprafață de 2.500 mp, oferind spațiu amplu pentru o reședință spațioasă, o grădină superbă sau un mic complex rezidențial.
Utilități la Poartă: Investiția ta este simplificată! Ai deja disponibile cele mai importante utilități:
Curent electric
Gaz
Categoria de Folosință: Terenul este încadrat ca arabil (cu specificația NU - neîmprejmuit), fiind gata de a fi pus în valoare conform planului urbanistic zonal/general.
Avantaje Imbatabile
Potențial de Creștere: Zona este într-o continuă dezvoltare, ceea ce garantează o creștere a valorii proprietății în viitorul apropiat.
Accesibilitate: Drumul de acces (vizibil în imagine) facilitează legătura rapidă cu orașul Bistrița și punctele de interes majore.
Vedere și Împrejurimi: Amplasarea oferă o priveliște plăcută, cu verdeață și proprietăți noi în vecinătate, un cadru ideal pentru o viață de familie relaxată, dar conectată.
Nu rata ocazia de a achiziționa o parcelă generoasă cu un potențial imens! Ideal pentru dezvoltare rezidențială sau pentru construirea locuinței personale!
Specificații
Extravilan / IntravilanIntravilan
UtilitățiDa
ID: 16640026
Contactează vânzătorul
Companie
Ovidiu Pop
pe site din 10 Augactiv:
Nu există recenzii
Mai multe anunțuri ale utilizatorului
Bistrita, Bistrita-Nasaud
Despre companie
Loading ad...
Contactează vânzătorul
Companie
Ovidiu Pop
pe site din 10 Augactiv:
Nu există recenzii
Loading ad...
Vezi mai multe anunturi ale acestui vânzator
Toate anunturileAnunturi similare
















































































































































































































































































































































































































