Emanuel Lapadatu
pe site din 26 Sep
activ: 10 Feb 2026 21:14




109.000 eur
Companie
Descriere anunt
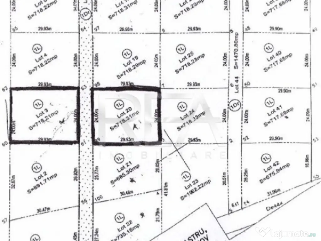
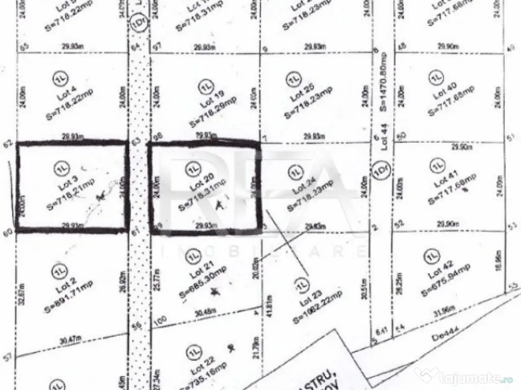
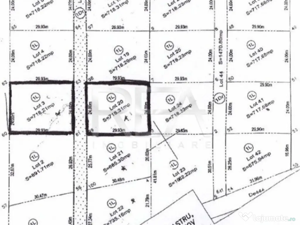
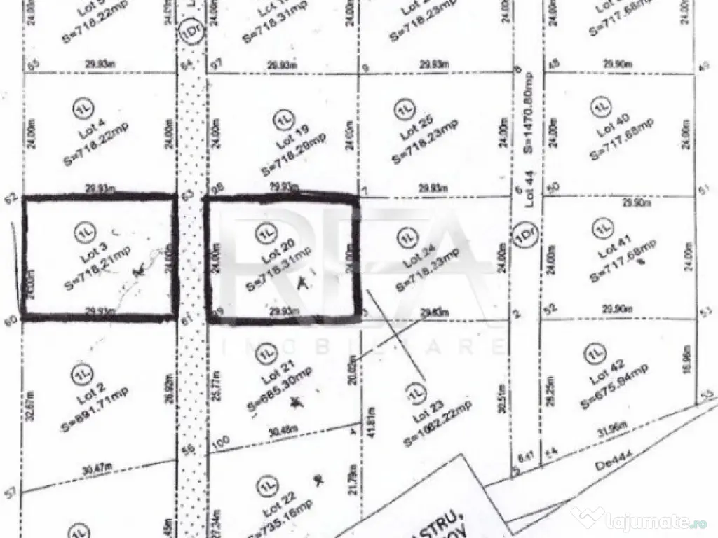
REA Imobiliare va propune spre vanzare un teren cu o pozitie deosebita in Mogosoaia, departe de zgomotul urban.
Dispune de utilitati in proximitate. Terenul are o suprafata de 712m.p, cu un front stradal, de 24 m.l, are deschidere la drum de servitute.
Se accepta toate modalitatile de plata.
Informatiile tehnice au caracter orientativ, acestea fiind preluate de la proprietari.
Pentru mai multe detalii si vizionari, ne puteti contacta telefonic, specificand codul de identificare P4851.
Id intern: P4851
Specificații
Extravilan / IntravilanIntravilan
Front stradal (metri)24
UtilitățiNu
ID: 15959512
Contactează vânzătorul
Companie
Emanuel Lapadatu
pe site din 26 Sepactiv:
Nu există recenzii
Mai multe anunțuri ale utilizatorului
Mogosoaia, Bucuresti-Ilfov
Despre companie
Loading ad...
Contactează vânzătorul
Companie
Emanuel Lapadatu
pe site din 26 Sepactiv:
Nu există recenzii
Loading ad...
Vezi mai multe anunturi ale acestui vânzator
Toate anunturileAnunturi similare
















































































































































































































































































































































