Experti Imobiliari
Constanta, Constanta
pe site din 27 Nov
activ: 10 Feb 2026 21:14








150.000 eur
Companie
Lumina, CT
06.03.2026
Număr de telefon validat
Descriere anunt
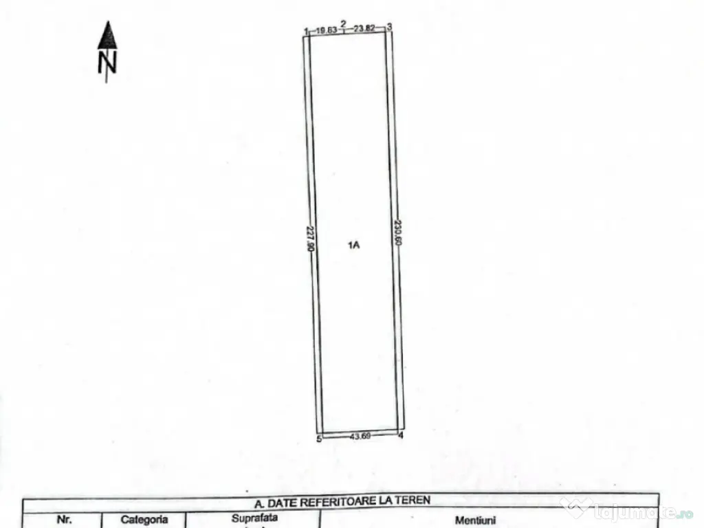
Agentia Experti Imobiliari va propune spre achizitie teren extravilan pentru constructii situat in zona Lumina, ideal pentru investitie sau dezvoltare rezidentiala/comerciala, cu vedere catre lac.
Terenul beneficiaza de deschidere la sosea asfaltata, acces facil auto, fiind pozitionat intr-o zona in plina dezvoltare. Utilitati in zona (curent electric, apa, gaz), ceea ce il face potrivit pentru viitoare proiecte imobiliare.
Proprietatea dispune de cadastru si intabulare, acte la zi, tranzactie sigura si rapida.
✅ Ideal pentru constructie casa, hala, depozit sau investitie pe termen lung
✅ Zona cu potential ridicat de dezvoltare
✅ Acces rapid la drum principal
E.3(P33110)
Id intern: P33110
Specificații
Extravilan / Intravilan2
UtilitățiNu
ID: 16765830
Contactează vânzătorul
Companie
Experti Imobiliari
pe site din 27 Novactiv:
Nu există recenzii
Mai multe anunțuri ale utilizatorului
Lumina, Constanta
Despre companie
Loading ad...
Contactează vânzătorul
Companie
Experti Imobiliari
pe site din 27 Novactiv:
Nu există recenzii
Loading ad...
Vezi mai multe anunturi ale acestui vânzator
Toate anunturileAnunturi similare














































































































































































































































































