Daniel Vasilescu
pe site din 5 Oct
activ: 10 Feb 2026 21:14













222.250 eur
Companie
Descriere anunt
Priveliște de vis – Investiție de excepție în inima naturii, la doar câteva minute de Brașov
Imaginează-ți cum ar fi să te trezești în fiecare dimineață pe un platou însorit, deasupra orașului, cu o panoramă spectaculoasă asupra municipiului Săcele și a întregii zone metropolitane Brașov. Aer curat de munte, liniște, răsărituri pictate pe cer și nopți senine sub un covor de stele.
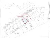
Acest teren generos in suprafata de 2449 mp mp, situat în pitoreasca zonă turistică Poiana Angelescu, îți oferă șansa rară de a crea un mic cartier privat de vis — un colț de rai suspendat deasupra orașului.Pe acest teren exista obtinute 4 autorizatii de constructie pentru vile individuale P+M cu o suprafata desfasurata de 193,44mp fiecare (3 buc) si o vila dispusa pe D+P+M cu o suprafata desfasurata de 303,15mp..
Terenul poate fi extins cu suprafata alaturata de 726mp, insumand o suprafata totala de 3175mp avand autorizatii de constructie pentru 6 vile individuale
Avantaje unice:
Proiect aprobat pentru 6 vile individuale:
5 vile cu regim Parter + Mansardă (99,19 mp amprentă / 193,44 mp suprafață desfășurată)
1 vilă cu regim Demisol + Parter + Mansardă (99,19 mp amprentă / 306,15 mp suprafață desfășurată)
6 autorizații de construcție individuale, toate valabile și înscrise în CF – se poate începe construcția imediat
Toate utilitățile sunt la aproximativ 100 m
Poziționare la înălțime, pe un platou panoramic deosebit
Preț: 70 EURO/mp
Este locul ideal pentru a dezvolta un proiect exclusivist, destinat celor care caută intimitate, rafinament și o conexiune autentică cu natura – la doar câteva minute de agitația urbană.
Un loc unde liniștea întâlnește eleganța și unde investiția se transformă într-un vis împlinit.
Specificații
Extravilan / IntravilanIntravilan
UtilitățiNu
Front stradal (metri)54
ID: 16779332
Contactează vânzătorul
Companie
Daniel Vasilescu
pe site din 5 Octactiv:
Nu există recenzii
Mai multe anunțuri ale utilizatorului
Sacele, Brasov
Despre companie
Loading ad...
Contactează vânzătorul
Companie
Daniel Vasilescu
pe site din 5 Octactiv:
Nu există recenzii
Loading ad...
Vezi mai multe anunturi ale acestui vânzator
Toate anunturileAnunturi similare




































































































































































































































































































































































































