Maria Stefan
pe site din 5 Ian
activ: 10 Feb 2026 21:14





880.050 eur
Companie
Descriere anunt
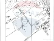
Va ofer spre vanzarea, un teren intravilan construibil cu o suprafață de aproximativ 40.000 mp, poziționat strategic cu deschidere directă la Șoseaua București–Târgoviște (DN1A) – una dintre principalele artere de acces către nord-vestul Capitalei.
Proprietatea se află în imediata apropiere de Academia Titi Aur – un reper cunoscut situat in Crevedia–Cocani zona care este deja confirmată ca fiind în plină dezvoltare rezidențială, cu acces rapid către București (aprox. 25–35 min, în funcție de trafic) și conexiuni directe din DN1A .
In acesta oferta, putem identifica cateva elemente cheie pentru dezvoltatori
- Suprafață mare
- PUZ aprobat (timp economisit, risc redus)
- Configurație: 62 de loturi pregătite pentru dezvoltare
- Regim: intravilan construibil
- Acces direct din arteră principală (vizibilitate si logistică excelentă)
Posibilitățile de dezvoltare sunt variate, terenul fiind potrivit atât pentru un cartier de case individuale, cât și pentru locuințe tip duplex sau înșiruite, în funcție de strategia aleasă. De asemenea, permite dezvoltarea unui proiect mixt, care să integreze zona rezidențială cu servicii in apropiere, conturând o comunitate completă.
Zona se menține încă la un nivel accesibil ca preț, ceea ce oferă un avantaj important la achiziție și un potențial real de apreciere pe termen mediu și lung, aceasta fiind o oportunitate pentru orice investitor.
Privit in ansamblu, este o proprietate care reduce birocrația prin PUZ-ul existent, oferă flexibilitate prin parcelarea deja realizată și susține un randament bun, într-o zonă aflată în dezvoltare activa.
Prețul este negociabil, în funcție de condițiile tranzacției, ceea ce devine un proiect profitabil pentru cel care investeste.
Va astept la vizionare si va stau la dispozitie pentru detalii
Specificații
Extravilan / IntravilanIntravilan
UtilitățiDa
Front stradal (metri)50
ID: 16809512
Contactează vânzătorul
Companie
Maria Stefan
pe site din 5 Janactiv:
Nu există recenzii
Mai multe anunțuri ale utilizatorului
Cocani, Dambovita
Despre companie
Loading ad...
Contactează vânzătorul
Companie
Maria Stefan
pe site din 5 Janactiv:
Nu există recenzii
Loading ad...
Vezi mai multe anunturi ale acestui vânzator
Toate anunturileAnunturi similare



























































































































































































































































