Ovidiu Stefan
pe site din 21 Mar
activ: 10 Feb 2026 21:14














54.900 eur
Companie
Descriere anunt
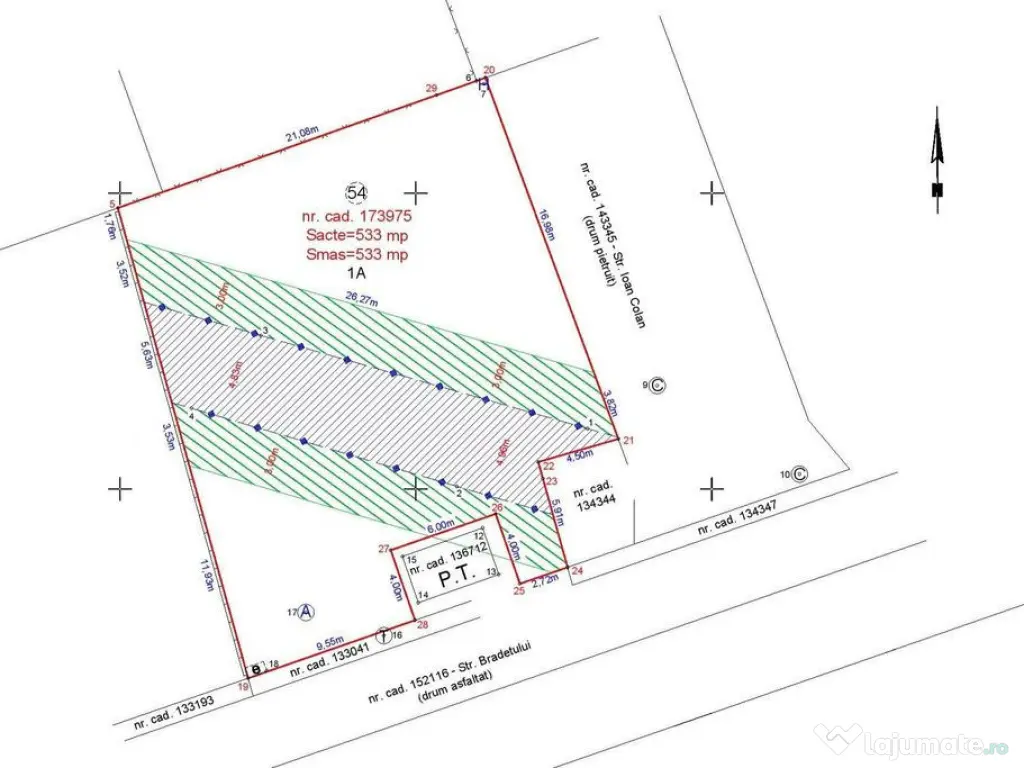
Vă propunem spre vânzare un teren intravilan situat în Brașov, în cartierul Bartolomeu, pe strada Brădetului, la numai 10 minute (aproximativ 5 km) distanță de Piața Sfatului. Terenul are o suprafață de 533 mp și beneficiază de un avantaj strategic: deschidere la două străzi (Strada Brădetului - asfaltată, și Strada Ioan Colan).
Imobilul este situat în intravilanul localității, având regim economic: destinație conform Planului Urbanistic General (P.U.G.) Brașov: M3 - subzonă mixtă situată în afara zonei protejate, cu clădiri având caracter continuu sau discontinuu cu înălțimi de maxim P+2E+M sau P+2E-3E, imobil afectat de rețeaua de canalizare. (date extrase din Certificatul de Urbanism)
Regimul tehnic al terenului permite construirea cu respectarea următoarelor condiții: P.O.T. (procent ocupare teren) - maxim 40%, C.U.T. (coeficient de utilizare teren) – P+1E = 0,80; P+2E = 1,20; P+3E = 1,60. (date extrase din Certificatul de Urbanism)
Terenul este îngrădit pe două laturi (spre vecini) și beneficiază de acces imediat la infrastructura completă. Un avantaj considerabil este faptul că proprietatea este deja branșată la rețelele de apă curentă și canalizare. Celelalte utilități – curent electric, gaz și fibră optică (DIGI) – se află la limita proprietății (la stradă), necesitând doar procedurile standard de branșament.
Localizarea oferă acces facil către numeroase puncte de interes: Supermarket Lidl la 5 minute, Școala Gimnazială Nr. 14 la 4 minute, Paradisul Acvatic la 5 minute, iar Aeroportul Internațional Brașov-Ghimbav se află la doar 12 minute cu mașina. Proximitatea față de stațiile de autobuz ale liniilor 18 și 41 asigură o bună conectivitate cu restul orașului.
Informații juridice și financiare: Proprietarul terenului este persoană juridică, iar la prețul de vânzare se adaugă TVA (21%). Pentru transparență totală, vă putem pune la dispoziție documentația completă, incluzând Certificat de Urbanism, Extras de Carte Funciară de Informare și Plan Topografic cu detalierea zonei afectate de rețeaua de canalizare.
Comisionul pentru cumpărător este de 0%. Pentru detalii suplimentare și programarea unei vizionări, vă rugăm să ne contactați telefonic.
Specificații
Extravilan / IntravilanIntravilan
Front stradal (metri)17
UtilitățiDa
ID: 16671407
Contactează vânzătorul
Companie
Ovidiu Stefan
pe site din 21 Maractiv:
Nu există recenzii
Mai multe anunțuri ale utilizatorului
Brasov, Brasov
Despre companie
Loading ad...
Contactează vânzătorul
Companie
Ovidiu Stefan
pe site din 21 Maractiv:
Nu există recenzii
Loading ad...
Vezi mai multe anunturi ale acestui vânzator
Toate anunturileAnunturi similare






































































































































































































































































































































